Moradores do município de Presidente Franco, na cabeceira paraguaia da Ponte da Integração, estão reclamando, mais uma vez, de explosões nas pedreiras instaladas na periferia da cidade.
Leia também:
Saiba como estão as obras na estrada de Puerto Indio no Paraguai
De acordo com o jornal ABC Color, habitantes dos bairros Santa Inés e San Sebastián vêm relatando, até mesmo, “chuva de pedras” sobre as residências.
“Ontem [18] pela tarde, vários vizinhos dos citados bairros reportaram uma verdadeira chuva de rochas. Afirmaram que não podem permanecer ao ar livre, pelo risco de serem alcançados pelos projéteis”, publicou o jornal.
Ao ABC Color, Sebastián Figueredo, morador da área afetada, reclamou dos efeitos à convivência comunitária e dos danos às residências durante as explosões nas pedreiras.
“Já não podemos ficar no pátio porque as pedras que caem são enormes. Muitas vezes, destroem o teto. Já reclamamos várias vezes à prefeitura, mas a pedreira nunca deixou de operar”, queixou-se.
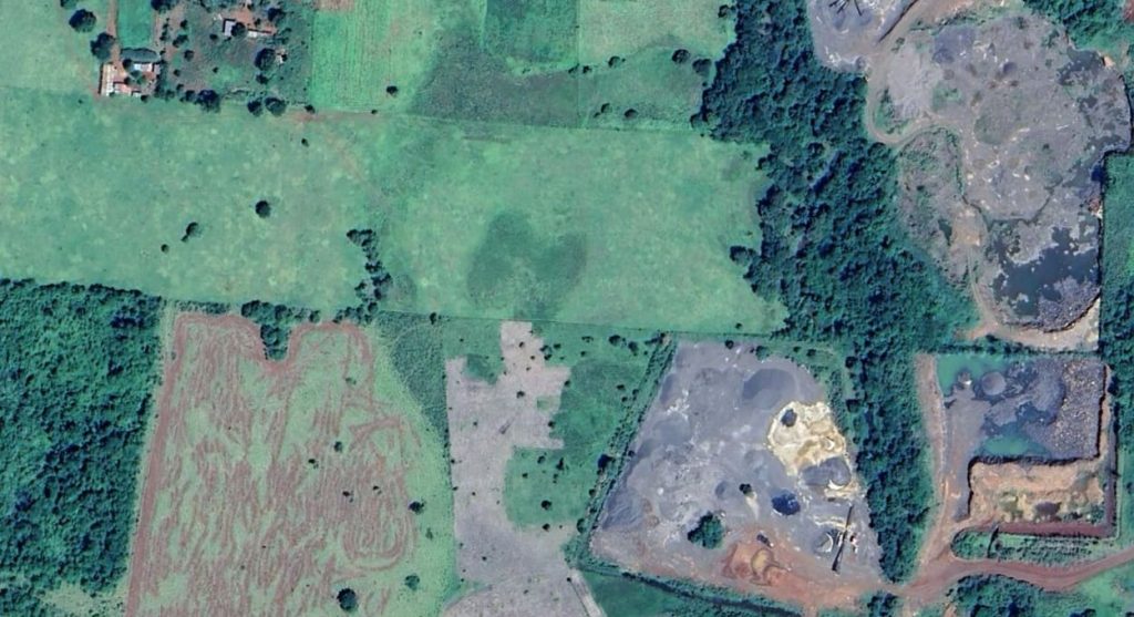
As pedreiras de Presidente Franco estão situadas em locais como as proximidades do Rio Monday, afluente do Rio Paraná. Os estabelecimentos fornecem materiais para a indústria da construção civil em Ciudad del Este e municípios vizinhos.
Em ocasiões anteriores, moradores denunciaram que explosões ocorridas nas pedreiras estariam provocando rachaduras em residências. Além disso, houve casos de impactos no Rio Monday, com atividades muito próximas às margens do curso da água.
A fiscalização sobre o funcionamento das pedreiras está a cargo de instituições como a prefeitura local e ministérios do governo do Paraguai.

